Friends of Padre Steve’s World,
Every day that I see a tweet or hear President Donald Trump go into incoherent
streams of banal blathering I am reminded that the man has no ability to empathize with any other human being, even his family. It does not matter whether it is people suffering in a hurricane, people who have seen mass numbers of family and friends murdered by domestic terrorists, labeling racial and religious minorities as terrorists, criminals, animals, or vermin; or encouraging violence against political opponents and the press at his rallies, he always makes things about him, and plays to the fears of his base.
His lies are often whoppers and those he has been proven by many organizations to have lied or distorted the truth well over 10,000 times during his presidency, often to the detriment of his policies and programs, and which subvert the alliances and treaties that help to keep America great.
I cannot imagine any other American President with such an absence of empathy. He displays all the traits of a narcissistic sociopath, devoid of empathy or the capacity to love anyone other than himself. Everything else is fungible to him. He has no real friends, only temporary partners, and that includes his multiple wives and paramours.
Yet for some reason the bulk of the Republican establishment and its conservative Christian base not only supports him but make up theological jibber-jabber to justify their support on the thinnest Biblical support, usually biblical verses or stories taken completely out of context. But he appeals to their fears, and I doubt that they will abandon him unless the economy completely collapses leaving them destitute, in which case they will likely blame whoever he blames and still support him, just like so many religious people who in other nations have tied their religion to despots.
Believe me, religious people of any faith can live to the highest and most commendable humanitarian deeds as a result of their faith, while others can sink to depravity which only true believers can sink.
The distinguished British Mathematician and Philosopher Alfred North Whitehead wrote:
“Religion carries two sorts of people in two entirely opposite directions: the mild and gentle people it carries towards mercy and justice; the persecuting people it carries into fiendish sadistic cruelty…”
Whitehead was right, and the latter will follow the President into the abyss. The American philosopher Eric Hoffer wrote:
“A doctrine insulates the devout not only against the realities around them but also against their own selves. The fanatical believer is not conscious of his envy, malice, pettiness and dishonesty. There is a wall of words between his consciousness and his real self.”
Sadly, such people are capable of anything. Historian Timothy Snyder reminded us shortly after President Trump’s Election reminded us in his book On Tyranny:
“The European history of the twentieth century shows us that societies can break, democracies can fall, ethics can collapse, and ordinary men can find themselves standing over death pits with guns in their hands. It would serve us well today to understand why.”
Last night I wrote about the uncomfortable necessity of trying to understand evil, its causes and those who perpetuate and encourage it, including the current American President, a man incapable of feeling for others, or taking responsibility for his words and actions. The same is true of many of his supporters. Gustave Gilbert who served as a psychologist to the major war crimes defendants at Nuremberg noted:
“In my work with the defendants (at the Nuremberg Trails 1945-1949) I was searching for the nature of evil and I now think I have come close to defining it. A lack of empathy. It’s the one characteristic that connects all the defendants, a genuine incapacity to feel with their fellow men. Evil, I think, is the absence of empathy.”
The President has a dark Charisma which his devout followers find irresistible, and since he is not a fringe character, but the leader of one of the most powerful countries on the planet, this is not something that we can easily dismiss. Nor can we dismiss the ever increasing power of the Executive branch of the government, the specialization and distancing of bureaucrats from the policies they implement, and the pressure of pastors, employers, family, church members, and party officials on people who would normally not harm a fly. However, as Conservative columnist and former Bush Administration staffer Michael Gerson wrote in July of 2017: “The president and his men are incapable of feeling shame about shameful things.”
While President Trump is a catalyst for many of the things happening in the country and the world, he is not the cause. The seeds have been planted for decades by preachers, pundits, and politicians that specialize in promoting fear and paranoia in their followers.
The late American historian, Richard Hofstadter wrote:
“The idea of the paranoid style as a force in politics would have little contemporary relevance or historical value if it were applied only to men with profoundly disturbed minds. It is the use of paranoid modes of expression by more or less normal people that makes the phenomenon significant.”
This is important at a time of increasing economic uncertainly, a world where the old stable democratic orders are under attack, the paranoia increases, along with it fear, racism, and war across the spectrum. A leader who encourages violence and turns every issue into a personal animus only emboldens his followers.
Historian Christopher Browning wrote of this in his book Ordinary Men:
“I fear that we live in a world in which war and racism are ubiquitous, in which the powers of government mobilization and legitimization are powerful and increasing, in which a sense of personal responsibility is increasingly attenuated by specialization and bureaucratization, and in which the peer group exerts tremendous pressures on behavior and sets moral norms. In such a world, I fear, modern governments that wish to commit mass murder will seldom fail in their efforts for being unable to induce “ordinary men” to become their “willing executioners.”
Holocaust survivor and philosopher Primo Levi warned us of them, “Monsters exist, but they are too few in number to be truly dangerous. More dangerous are the common men, the functionaries ready to believe and to act without asking questions.”
Whether President Trump wins re-election or doesn’t the danger will not decrease. Many of his followers, and many Trump himself may refuse to stand aside if he loses. some threatening civil war if he loses. But, if he wins he has the power to further dismantle the Constitutional guardrails that have been the protectors of our political system, as well as turn all the instruments of power into his personal weapons. He is already doing so. This is the practice of tyrants throughout history.
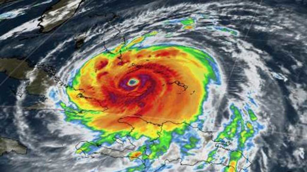
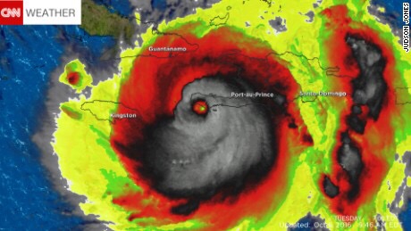
Anyway, I’m done for the night as we wait for Hurricane Dorian to reach us sometime overnight. Having been through quite a number of hurricanes in North Carolina and Virginia I know how dangerous they are. My heart is with all of Dorian’s victims in Bermuda and in the Southeastern United States. I have many friends in harm’s way. I cannot ignore their suffering, unlike the President, and many of his minion.
So until tomorrow, as long as we weather the storm without major power outages, flooding, or storm damage, I will write again.
Peace,
Padre Steve+





















