Well, we have killed off the first decade of the new millennium and I hate to say it but I miss the 1970s, 1980s and 1990s. Somehow despite the threat of double secret nuclear annihilation, disco, and bad hair those decades seemed somehow more civil, more hopeful and dare I say just a bit nicer than the current decade has been. However this decade is what it is, or maybe was what it was. I think that most of us could say like the Barry Manilow song that “I’ve been up down tryin’ to get that feeling again” but like Blobdie sang “Dreaming is Free.”
Personally Padre Steve had recently embarked on another phase of military service having left the Army Reserve in February 1999 to enter the Navy. Since that time my career has been pretty good and I’m glad that I made the switch. I have had the chance to serve with some great folks and see a lot more of the world and do a lot of cool things, including going to war. This time in 1999 I was assigned to the 2nd Marine Division at Camp LeJeune North Carolina. The big thing going on back then was the world being up in arms about the threat of something called Y2K. Y2K was supposed to end life as we knew it as anything using computer technology was going to quit working, airplanes would fall from the sky, power plants would shut down and personal computers would stop working in the middle of trying to get a dial-up connection to AOL or Compuserve. We YTK fizzed and those that had made doomsday preparations felt pretty silly as they looked over their shoulders for Black Helicopters and hundreds of thousands of UN troops hiding out in our National Parks building detainment camps for real Americans.
Who the Hell Was this Guy Voting For?
As YTK fizzled the 2000 Presidential campaign got spun up. Padre Steve missed a lot of it because he spent about 10 weeks in the dessert at 29 Palms with two different Marine battalions during two Combined Arms Exercises, or CAX. He then left in December for a deployment to the Far East. Just before the election the destroyer USS Cole was attacked and heavily damaged by terrorists in an explosive laden boat while refueling in Yemen. 2000 ended without a decision in the election and the campaign culminated in January 2001 with a razor thin Electoral College victory for George W. Bush full of controversy over disputed ballots in Florida with an Army Corps of lawyers getting involved and taking the whole thing up the Supreme Court. This process dragged on for what seemed like forever until I was in Okinawa with my battalion. A new term was coined “the hanging chad.” Once the election nightmare was over things did not get better. In 2000 lost some notable folks, former Dallas Cowboys Head Coach and Pro-Football Hall of Famer Tom Landry called his last play, Sir Alec Guinness crossed over the River Kwai and Montreal Canadiens Hockey legend Maurice “Rocket” Richard broke away and got his final hat trick.
As 2001 began it did seem that things were starting to settle down despite lingering hatred on both sides of the political aisle about the election. But then there were the attacks of September 11th 2001 where terrorists flew hijacked airliners into both of the World Trade Center towers and the Pentagon. This caused a number of congressmen and senators to break forth in song outside the Capital and for a brief time it seemed that the whole country had united in common cause. Soon US Special Forces, Rangers and Marines were fighting in Afghanistan to overthrow the Taliban and hunt for Osama Bin Laden, the mastermind of the terror attacks and the head of the Al Qaeda terrorist network. US forces overran Afghanistan quickly with the help of Afghan tribes known as the Northern Alliance and it looked like despite not finding Bin Laden that the US goals were being accomplished even as the President was telling Americans to “go shopping” to many in the military giving the impression that while the military was at war that the nation was not. In December 2001 Padre Steve was transferred from the Marines to the Guided Missile Cruiser USS Hue City, CG-66. The ship would complete a couple of underway periods and exercises before departing for the Middle East in early February. This was Padre Steve’s first tour in a war zone and the ship conducted operations off the Horn of Africa, in the Northern Arabian Gulf as part of the UN Oil Embargo on Iraq intercepting smugglers, during which time Padre Steve was with a boarding team that made 75 boarding missions of Iraqi and other smugglers.
Iconic Picture of Padre Steve on a Boarding Mission
From there Hue City operated with the USS John F Kennedy conducting operations in the Gulf of Oman where our air controllers helped direct strikes against Al Qaida and the Taliban and during which time the ship was detached to keep watch on the Indians and Pakistanis who were on the brink of having a nuclear war. Acting great and Academy Award winner Jack Lemmon, former Beatle George Harrison and NASCAR great Dale Earnhardt all made their final lap around the planet. In Baseball the Arizona Diamondbacks defeated the New York Yankees to win the World Series in 7 games.
2004 The Red Sox Break the Curse
2002 also saw John Allen Mohammed, the Beltway Sniper bring terror to Washington DC, Northern Virginia and Maryland, the Congress passed a joint resolution to allow President Bush to use US Military Forces as he deemed fit in Iraq and the Iraq War Resolution. Shortly thereafter the Department of Homeland Security was established. The San Francisco Giants lost the World Series to the Anaheim Angels after leading in the 7th inning of game six much to the consternation of Padre Steve and the other Giants faithful. Calls for the public water boarding of Giants Manager and former “Evil Dodger” Dusty Baker to find why he took out Russ Ortiz went unheeded. Dave Thomas the founder of Wendy’s flipped his last burger, country music legend Waylon Jennings sang his last song and Baseball immortal Ted Williams all died in 2002 with Williams and his family trying to make him a real immortal by having his remains cryogenically frozen.
For Padre Steve 2003 was relatively uneventful, the Hue City was in the yards when Operation Iraqi Freedom was launched and was just getting ready for a deployment when he was reassigned to the Marine Security Force Battalion. In short order he was travelling around the globe and before the end of the year had visited his Marines in Bahrain, Rota Spain and Guantanamo Bay Cuba and he and the Abbess celebrated their 20th wedding anniversary. The Iraq War and overthrow of Saddam Hussein was the big story of 2003 however there was other news. The Space Shuttle Columbia blew up on re-entry killing the 7 astronauts on board, California recalled Governor Gray Davis and replaced him with the Governator Arnold Schwarzenegger and the Florida Marlins defeated the New York Yankees to win the World Series. We lost some legends in 2003 comedian Bob Hope died at the age of 100 and is now doing his Christmas show for the Archangel Michael and the Armies of Heaven; US Senator Strom Thurman filibustered his last bill at the age of 100, Fred Rogers left the neighborhood and Joseph Coors brewed his last batch of really bad beer.
George Bush on the USS Abraham Lincoln
2004 saw yet another nasty Presidential election riddled with controversy as George W. Bush defeated Senator John Kerry to win re-election. In Iraq Saddam Hussein was finally caught hiding in a hole in the ground by US Special Forces, the war in Iraq went south as the insurgency of former Ba’athists, disaffected Sunnis aided by Al Qaida and other foreign fighters and terrorists took up President Bush on his challenge to “bring it on.” Facebook was founded in Cambridge Massachusetts, simultaneous suicide bombs devastated trains in Madrid in what became known as Spain’s 9-11, Lance Armstrong won his 6th consecutive Tour de France, Chechen terrorists seized a school in Beslan Russia and over 300 are killed and 700 wounded by the terrorists as the school was stormed by Russian security forces and the Boston Red Sox won the 2004 World Series to break the curse of the Bambino after coming back to defeat the Yankees in the ALCS after being down three games to none. Death took no holidays in 2004 as Bob Keeshan better known as Captain Kangaroo was piped over the side, Rick James dated his last Super Freaky Girl without taking her home to mother and former President Ronald Reagan died of Alzheimer’s Disease after seeing his successors destroy his coalition and “big tent” and hopeful vision of conservatism. Padre Steve continued to travel around the world with his Marines going to Japan, France, and Spain, Bahrain and Guantanamo Bay as well as a number of trips within the United States. In France he taught seminars at the Belleau Wood battlefield site and in Normandy.
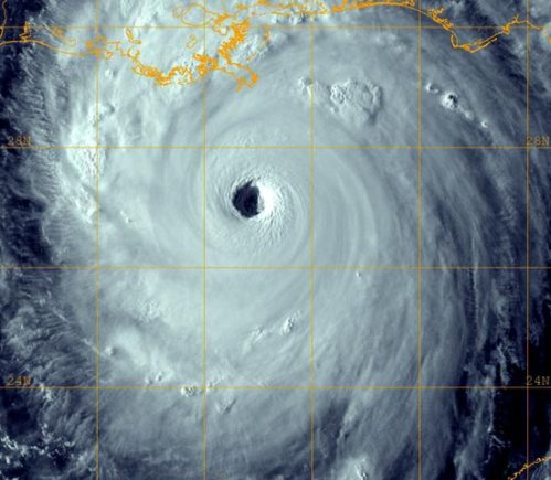
Hurricane Katrina as a Category 5 Storm
The war in Iraq continued to heat up in 2005 with the insurgency spreading throughout the country with the focal point being Sunni stronghold Al Anbar Province. Hurricane Katrina ravaged Gulf coast devastating New Orleans and southern Mississippi killing over 1800 and forcing millions from their homes. The ineffective and inept government response beginning with the “fly by visit” of President Bush helped the Democrats regain control of the House and Senate in 2006. Terrorism was alive and well as a terrorist attack on London’s Underground and a bus killed 56 and injured over 700. As for Padre Steve well he was selected for promotion to Lieutenant Commander, completed the Marine Corps Command and Staff College and continued to travel around the world with his Marines going to Japan, France, Spain, Bahrain and Guantanamo Bay as well as a number of trips within the United States. The highlight of this was being able to have the Abbess accompany him to Guantanamo Bay for the Marine Corps Birthday Ball. The Chicago White Sox defeated the Houston Astros in the World Series. In Washington DC baseball stars were hauled before a Congressional committee to testify on steroids in baseball or interrogated about their possible use of steroids. This wasted millions of dollars in taxpayer money as loser Congressmen who tolerate all sorts of illegal and immoral actions of their own sought to embarrass and destroy the careers and reputations of ballplayers in a grand act of inquisitional hypocrisy. Death came knocking for comedian Richard Pryor, Johnny Carson gave his last monologue, Pope John Paul II met Saint Peter and James Doohan, Mr. Scott from Star Trek was beamed up for the last time.
Israeli Merkeva Tank Destroyed by Hezbollah
In 2006 Padre Steve was promoted the Lieutenant Commander and was transferred to EOD Group Two after completing another year of travel with the Marine Security Forces. Within months there was talk of a deployment to Iraq or Afghanistan for him and his trusty assistant and body guard Nelson Lebron. He also began a Masters Degree program in Military History at American Military University. In the rest of the world the Republicans lost their majorities in Congress, the war in Iraq continued to grow in intensity and Israel went to war with Hezbollah forces on their northern border. The attack was ill conceived and was a military failure revealing weaknesses in the Israeli ground forces training and tactical abilities forcing investigations of the military and the resignation of the head of the military. Pope Benedict XVI the successor to Pope John Paul II published his first encyclical. In the World Series Tony LaRussa’s St Louis Cardinals defeated the Detroit Tigers and Barry Bonds though tainted by controversy continued his march to the Baseball Home Run title. Death paid a visit to former Secretary of Defense Caspar Weinberger, sportscaster Curt Gowdy called his last game and Don Knotts, Televisions Barney Fife gave up his bullet for the last time.
Barry Bonds the All Time Home Run Leader
The war in Iraq reached a climax in 2007 as President Bush heeded the advice of General David Petreus and initiated a “surge” of forces to help wage an actual counterinsurgency campaign. Combined with the Al Anbar Awakening where the Sunni turned on the insurgents and allied themselves with the Americans the course of the war changed as insurgents lost support and the US and better trained and equipped Iraqi forces launched successful offensives to drive the insurgents out of key areas. Padre Steve deployed to Iraq and served in Al Anbar Province working with US Marine and Army advisers to the Iraqi Army, Police and Border forces travelling thousands of miles in the province to go where few others went.
Padre Steve in Iraq with Bedouin on Syrian Border
Barry Bonds broke Hank Aaron’s all-time home run record while track star Marion Jones surrendered 5 Olympic Gold Medals after admitting to blood doping and the Boston Red Sox swept the Colorado Rockies to claim their second World Series title of the decade. Meanwhile death came to Jerry Falwell who preached his last sermon; Tammy Faye (Baker) Messner applied her last coat of Bondo, Ike Tuner played his last guitar riff while Pavarotti exited the stage with Marcel Marceau who went rather silently I am told.
Barak Obama the 44th President
In 2008 Padre Steve returned from Iraq with a pretty good case of PTSD, chronic pain and anxiety coupled with depression and a crisis in faith. He finished his tour at EOD and was assigned to Portsmouth Naval Medical Center. He and the Abbess celebrated thier 25th wedding anniversary. The war in Iraq was now moving in a successful direction with the Iraqis taking more control of their security and the various religious, political and ethnic factions beginning to talk and work with one another rather than shoot at each other. However the war in Afghanistan took a nasty turn as the Taliban came back with a vengeance and the Afghan government was revealed as weak, ineffective and corrupt. The 2008 Presidential election was waged with bitterness and the Democrats sent Senator Barak Obama, who had defeated Senator Hillary Clinton up against Senator John McCain. Obama won the election becoming the first African American man to become president while strengthening their majorities in Congress. The world entered a major economic crisis in 2008 and the United States suffered massive losses in financial markets, housing and rising unemployment. Bank bailouts were the order of the day as President Bush left office and Obama took over. A massive earthquake in Sichuan China killed over 80,000 people while American swimmer Michael Phelps won 8 gold medals to set an Olympic record. The Philadelphia Phillies won the World Series defeating the surprising Tampa Bay Rays. Death as always came along taking actors Heath Ledger and Charlton “Moses” Heston, comedian George Carlin and former Senator Jesse Helms.
Sarah Palin the New Leader of the GOP?
2009 came in with the inauguration of Barak Obama as President something that Padre Steve witnessed with a elderly African American women in her ICU room while holding her hand as she cried not believing that she would see an event of this kind in her lifetime. The war in Iraq began to wind down as the US began to increase it’s withdraw of ground forces and turn over more security to the Iraqis. In Afghanistan the war reached a crisis point as the military and political situation deteriorated within the country and support for the war dwindled in the US and Europe. Amid this President Obama agreed to a “surge” for Afghanistan. The worldwide economic continued but by the end of the year some economic indicators were pointing upward again even as the US unemployment rate continued to rise. A bitter fight was waged over health care reform and economic policies while President Obama’s support and approval ratings crashed as people on both the left and right of the political spectrum criticized his leadership and policies. Republican Vice-Presidential nominee and former Vice President Dick Cheney took the Republican lead in attacking the President while conservative talk radio delivered a daily barrage of criticism. Some of Obama’s own actions did not help his cause especially in the manner in which he was viewed to respond to terrorist attacks including an attempted Christmas Eve bombing of a US airliner. Tensions continued to grow between the West and Iran regarding that nation’s nuclear program even as widespread demonstrations wracked that country after an election which appeared to be rigged by the Iranian government. An outbreak of H1N1 Influence reached pandemic proportions across the globe but did not reach the lethality that it had the potential to do. The Vatican announced a historic plan to allow conservative and traditionalist Anglicans come into the Catholic Church and retain their Anglican traditions and some measure of autonomy.
In baseball a revitalized New York Yankees team dominated the American league and went on to dominate their playoff and World Series opponents defeating the Phillies in 6 games. In football a good number of teams in both the NFL and NCAA were a parody of the sport and coaching scandals plagued the sport while at the box office Star Trek came back with a vengeance and a twist. Padre Steve continued his hospital work, battled PTSD, depression, his father’s Alzheimer’s disease and his own spiritual crisis but completed the academic requirements for his Masters Degree in Military History and by the end of the year began to experience some measure of healing. He launched this site in February of 2009 and as of this post will have made 328 posts on the site. He also bought his first ever season tickets for a baseball team and now claims Section 102, Row B seats 1 & 2 as his pew at the Church of Baseball, Harbor Park Parish. Death prowled the earth looking for recruits finding legendary news anchorman Walter Cronkite who signed off of the last time, Pop Superstar Michael Jackson who “moon walked” the stairway to heaven or wherever, Senator Edward Kennedy who finalized his last legislation with his maker and Patrick Swayze who reprised his role in “Ghost.”
So it has been quite a decade personally for your friend Padre Steve as well as an eventual decade for the United States and the World. The decade has been “interesting” and as the ancient Chinese curse says “may you live in interesting times.” I hope that the next year and decade are a lot less interesting, that wars will cease and that people all over the world will join together like the old 1960’s Coca Cola commercial.
I’d Like to Teach the World to Sing?
Peace and Blessings in the New Year,
Padre Steve+
























































